
Theo Cổng thông tin Sở Công thương tỉnh Tây Ninh, UBND tỉnh vừa phê duyệt chấp thuận chủ trương đầu tư đồng thời chấp thuận nhà đầu tư đối với dự án Khu dân cư Bình Hòa Nam 1 theo Quyết định số 2074/QĐ-UBND ban hành ngày 04/02/2026. Dự án do Công ty TNHH Đầu tư và Phát triển Flamingo Island làm chủ đầu tư, với quy mô lớn, định hướng phát triển khu đô thị đồng bộ về hạ tầng kỹ thuật và hạ tầng xã hội trên địa bàn xã Đức Huệ.
Theo quyết định của UBND tỉnh, Công ty TNHH Đầu tư và Phát triển Flamingo Island là doanh nghiệp được cấp Giấy chứng nhận đăng ký doanh nghiệp mã số 1101965253, do Phòng Đăng ký kinh doanh – Sở Tài chính tỉnh Long An (nay là tỉnh Tây Ninh) cấp lần đầu ngày 19/10/2020, đăng ký thay đổi lần thứ 5 vào ngày 07/01/2026. Doanh nghiệp hiện có trụ sở tại ấp Thanh Sơn, xã Đức Huệ, tỉnh Tây Ninh.
Dự án có tên Khu dân cư Bình Hòa Nam 1, tên tiếng Anh là Flamingo Island City, với mục tiêu đầu tư xây dựng một khu đô thị có nhà ở, hệ thống hạ tầng kỹ thuật, hạ tầng xã hội và các công trình phụ trợ nhằm đáp ứng nhu cầu an cư, sinh hoạt của người dân, đồng thời góp phần chỉnh trang, phát triển không gian đô thị khu vực.
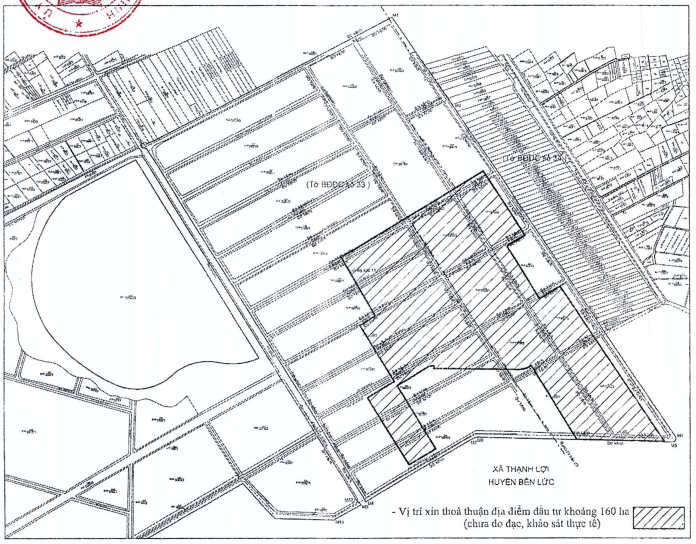
Về quy mô, dự án có diện tích khoảng 160 ha, hiện chưa đo đạc cụ thể, vị trí và ranh giới khu đất được xác định theo trích lục bản đồ địa chính do Văn phòng Đăng ký đất đai trích lục ngày 26/5/2025. Quy mô dân số dự kiến khoảng 14.600 người, với công suất thiết kế khoảng 3.000 căn nhà.
Cơ cấu sản phẩm của dự án được định hướng đa dạng. Trong đó, nhà ở thấp tầng gồm khoảng 200 căn nhà ở riêng lẻ và 1.800 lô nền (nhà liền kề, biệt thự), với tổng diện tích đất hơn 516.696 m2, chiếm 32,3% tổng diện tích dự án. Bên cạnh đó, dự án còn bố trí 1.000 căn hộ chung cư trên diện tích đất khoảng 77.503 m2, chiếm 4,8% diện tích toàn khu. Tổng diện tích sàn xây dựng dự kiến đạt hơn 2,16 triệu m², quy mô cụ thể sẽ được xác định theo đồ án quy hoạch chi tiết được cấp có thẩm quyền phê duyệt.
UBND tỉnh Tây Ninh yêu cầu chủ đầu tư lập quy hoạch chi tiết dự án, đảm bảo tuân thủ quy hoạch phân khu, các chỉ tiêu sử dụng đất, quy chuẩn kỹ thuật quốc gia về quy hoạch xây dựng, đồng thời bảo đảm sự đồng bộ của hệ thống hạ tầng kỹ thuật và hạ tầng xã hội. Trường hợp quy hoạch chi tiết được phê duyệt có điều chỉnh về số lượng hoặc cơ cấu sản phẩm, việc triển khai dự án phải thực hiện theo quyết định của cơ quan có thẩm quyền.
Tổng vốn đầu tư của dự án là 3.852 tỷ đồng. Trong đó, vốn góp của nhà đầu tư là 577,8 tỷ đồng, chiếm 15% tổng mức đầu tư; phần còn lại 3.274,2 tỷ đồng (tương đương 85%) là vốn huy động từ các tổ chức tín dụng, được giải ngân theo tiến độ triển khai dự án.
Dự án được thực hiện tại ấp Thanh Sơn, xã Đức Huệ, tỉnh Tây Ninh, với thời hạn hoạt động 50 năm, tính từ thời điểm nhà đầu tư được giao đất, cho thuê đất hoặc cho phép chuyển mục đích sử dụng đất theo quy định. Theo tiến độ, trong vòng 6 năm kể từ ngày được chấp thuận chủ trương đầu tư, nhà đầu tư phải hoàn tất các thủ tục liên quan đến đầu tư, đất đai, môi trường, xây dựng, phòng cháy chữa cháy và hoàn thành các hạng mục công trình để đưa dự án vào hoạt động.
Đối với nghĩa vụ phát triển nhà ở xã hội, UBND tỉnh cho biết khu vực thực hiện dự án hiện chưa phải là đô thị, không thuộc trường hợp bắt buộc bố trí quỹ đất theo quy định hiện hành. Tuy nhiên, chủ đầu tư đã có cam kết sẽ thực hiện việc bố trí quỹ đất nhà ở xã hội nếu pháp luật có yêu cầu trong quá trình triển khai.
Việc chấp thuận dự án Khu dân cư Bình Hòa Nam 1 diễn ra trong bối cảnh thị trường bất động sản Tây Ninh đang ghi nhận sự quan tâm ngày càng lớn của doanh nghiệp và nhà đầu tư, đặc biệt tại các khu vực giáp ranh Long An và TP.HCM. Quỹ đất còn dồi dào, mặt bằng giá thấp hơn so với các đô thị lớn, cùng với định hướng phát triển hạ tầng liên vùng đang tạo lợi thế cho thị trường địa phương.
Theo các chuyên gia, việc xuất hiện những dự án khu đô thị quy mô lớn, được quy hoạch bài bản như Bình Hòa Nam 1 không chỉ góp phần bổ sung nguồn cung nhà ở trong trung và dài hạn, mà còn tạo động lực phát triển hạ tầng, dịch vụ, thu hút dân cư và lao động về sinh sống, làm việc. Đây được xem là yếu tố quan trọng giúp thị trường bất động sản Tây Ninh từng bước hình thành các khu đô thị vệ tinh, giảm áp lực cho khu vực trung tâm TP.HCM.
Các ưu đãi và hỗ trợ đầu tư đối với dự án sẽ được áp dụng theo quy định của pháp luật hiện hành. Khi hoàn thành và đi vào hoạt động, Khu dân cư Bình Hòa Nam 1 được kỳ vọng sẽ trở thành một trong những dự án đô thị quy mô lớn, góp phần thúc đẩy phát triển kinh tế – xã hội và nâng tầm diện mạo đô thị khu vực Đức Huệ, tỉnh Tây Ninh.